1910 State Road 16 , St. Augustine, FL 32084
0
BEDROOMS
0
BATHROOMS
$2,700,000
LISTING PRICE
4
ACREDGE
Zoning: CI & CHT
MLS #: RX-11134480
Subdivision: Ravenswood
For More Information Call: 561-283-4663
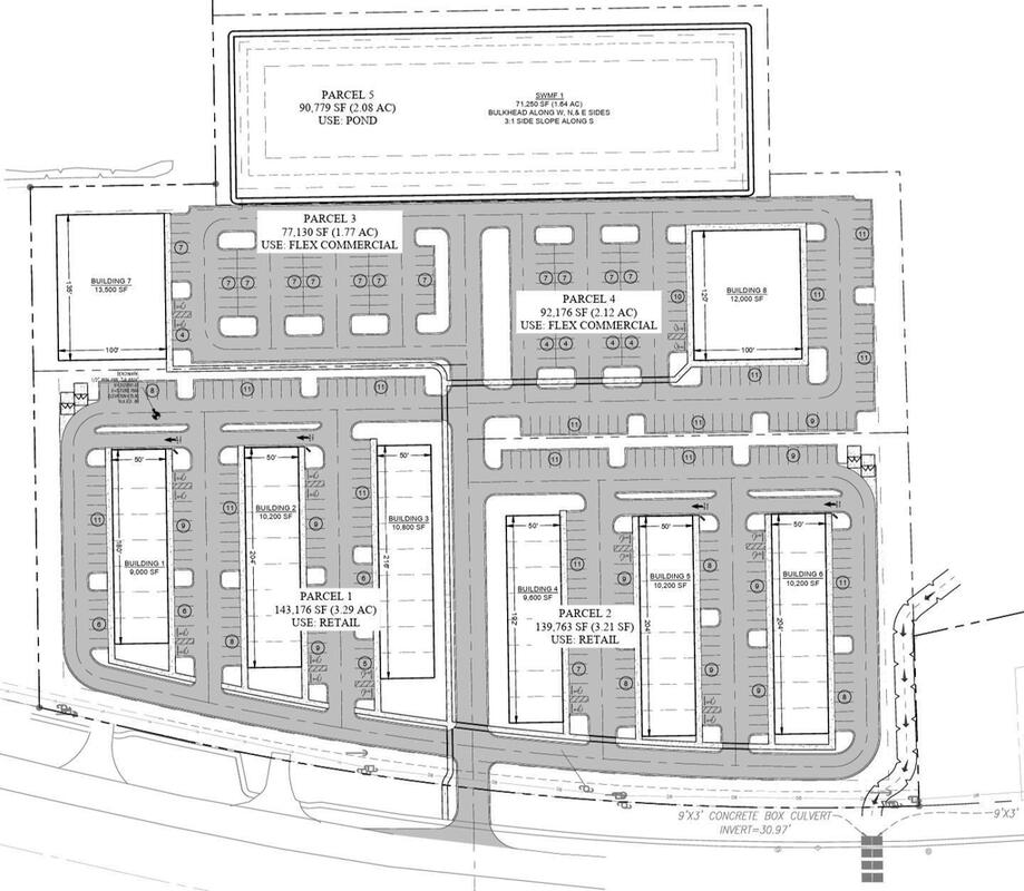
412 Foot Frontage per each 3.5 acre parcel or 823.5 Frontage for both (per tax roll). This is directly on SR 16 which is the Main Road in and out of Old St. Augustine, Fl. The $2.7M price is for the 3.5 acre site on the E. side of the drive. Site W of drive is mostly dry & has income. On last review there were only two other larger parcels available in the area. One had 200 ft and the other 225 feet of Frontage on 16. Please note that the 1900 (listing # 2114333) & this 1910 SR 16 listings are the same parcel with different approaches as to how it is marketed and developed. To be clear there are two engineer generated site plans in the works for this site depending on the developers vision and needs.Virtually all of SR 16 has become a High Demand/High Development Area.
This listing is courtesy of Florida Homes Realty & Mortgag. Real Estate and Luxury homes in Boca Raton, Delray Beach, Deerfield Beach, Juno Beach,0 Lake Worth, Palm Beach Gardens, West Palm Beach and surrounding areas in Palm Beach County and South Florida. Property Listing Data contained within this site is the property of Brevard MLS and is provided for consumers looking to purchase real estate. Any other use is prohibited. We are not responsible for errors and omissions on this web site. All information contained herein should be deemed reliable but not guaranteed, all representations are approximate, and individual verification is recommended.
All listings featuring the BMLS logo are provided by BeachesMLS Inc. This information is not verified for authenticity or accuracy and is not guaranteed. Copyright 2026 Beaches Multiple Listing Service, Inc.


SHARE TO: